很多朋友对于猫咪脖子上有疙瘩结痂和猫咪脖子上有疙瘩结痂掉毛不太懂,今天就由小编来为大家分享,希望可以帮助到大家,下面一起来看看吧!
猫咪打针后脖子上有疙瘩结痂怎么办
猫咪打针后脖子上有疙瘩结痂,可能是由于药物吸收不良或注射部位错误所导致。药物吸收不良:这是较为常见的原因之一。当药物注射后,猫咪的身体未能完全吸收,可能会在注射部位形成疙瘩或结痂。此时,建议使用热毛巾对患处进行热敷,以促进血液循环和药物吸收。一般情况下,经过一周左右的热敷处理,症状会有所缓解。
这种情况常见于药物吸收不良或注射部位错误导致。如果是由于药物吸收不良引起的,建议使用热毛巾对患处进行热敷,一般一周左右就会恢复。但如果是注射错部位导致,可能导致该处组织坏死或结节,建议及时去医院检查。另外脖子处注射药物后,有的猫咪甚至会出现掉毛后不长毛的情况,这是由于毛囊损坏导致。
猫咪打针后脖子上有疙瘩结痂 这种情况常见于药物吸收不良或注射部位错误导致。如果是由于药物吸收不良引起的,建议使用热毛巾对患处进行热敷,一般一周左右就会恢复。但如果是注射错部位导致,可能导致该处组织坏死或结节,建议及时去医院检查。
打针后留下的痕迹:如果猫咪身上只有脖子处有结痂,且猫咪近期有接受过疫苗接种或治疗注射,那么这个结痂可能是猫咪在打针后挠抓留下的。这种情况下,主人可以观察一段时间,看结痂是否会自行脱落,同时注意猫咪是否有其他不适症状。如果结痂长时间不脱落或猫咪出现其他异常,也应及时就医。

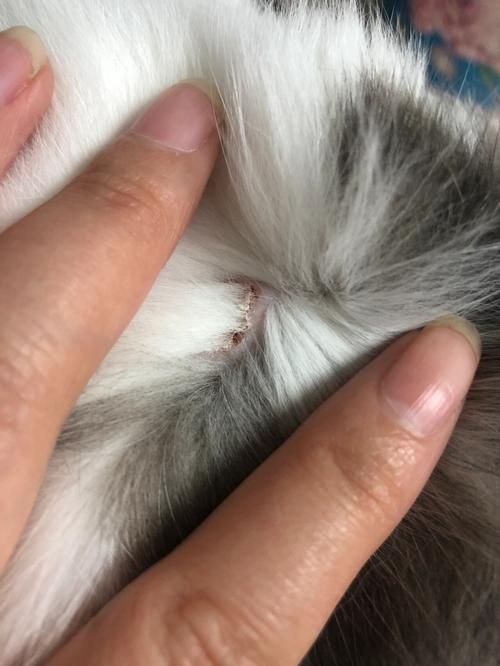
猫咪脖子上有疙瘩结痂
猫咪打针后脖子上有疙瘩结痂,可能是由于药物吸收不良或注射部位错误所导致。药物吸收不良:这是较为常见的原因之一。当药物注射后,猫咪的身体未能完全吸收,可能会在注射部位形成疙瘩或结痂。此时,建议使用热毛巾对患处进行热敷,以促进血液循环和药物吸收。一般情况下,经过一周左右的热敷处理,症状会有所缓解。
猫咪脖子上有疙瘩结痂,可能的原因及处理方法如下:外伤导致:原因:猫咪可能因抓挠、碰撞或其他外部因素导致脖子上出现伤口,进而形成疙瘩和结痂。处理方法:建议带猫咪到兽医处进行细针抽吸涂片染色检查,以确认是否存在细菌或炎症细胞。如确认为外伤引起,需进行消炎和清创处理。
皮肤瘙痒引起的结痂:如果猫咪是因为皮肤瘙痒而挠破脖子引起的结痂,需要处理好猫咪的外伤。可以在猫咪的伤口上涂抹抑菌消炎的喷剂,并戴上伊丽莎白圈以防止猫咪再次挠伤。细菌性皮肤病:如果猫咪还伴有细菌性皮肤病的症状,如红肿、发炎等,需要在兽医的指导下使用口服消炎药配合治疗。
猫脖子上出现结痂一样的疙瘩可能由多种原因引起,以下是几种常见的情况及其相应的处理方式:猫癣感染:这是一种由真菌引起的皮肤感染,常见症状包括红斑、鳞屑和瘙痒。感染区域的皮肤可能会因为猫咪频繁抓挠而增厚,形成疙瘩。
猫脖子有疙瘩结痂一样,可以先考虑使用体外驱虫药和杀菌消炎药物。以下是具体的处理方法和建议:检查寄生虫:首先,需要仔细检查猫咪身上是否有寄生虫,特别是跳蚤、蜱虫等。这些寄生虫可能会引起皮肤炎症,导致疙瘩和结痂。使用体外驱虫药:如果发现寄生虫,应立即使用适合猫咪的体外驱虫药。
发现之后要及时治疗,应该先把猫咪隔离起来,然后把它用过的东西都进行消毒。也可能是寄生在体外的螨虫或者是耳道发炎等引起了瘙痒,它们用爪子抓瘙痒处,从而引起结痂疙瘩。如果该部位有接种过疫苗或者注射过药物,可能是由于药物没有完全吸收所导致的现象,通常油剂药物和狂犬病疫苗比较难吸收。

猫的脖子有疙瘩结痂应该怎么办?
〖壹〗、根据病因治疗:皮肤瘙痒引起的结痂:如果猫咪是因为皮肤瘙痒而挠破脖子引起的结痂,需要处理好猫咪的外伤。可以在猫咪的伤口上涂抹抑菌消炎的喷剂,并戴上伊丽莎白圈以防止猫咪再次挠伤。细菌性皮肤病:如果猫咪还伴有细菌性皮肤病的症状,如红肿、发炎等,需要在兽医的指导下使用口服消炎药配合治疗。
〖贰〗、药物吸收不良:这是较为常见的原因之一。当药物注射后,猫咪的身体未能完全吸收,可能会在注射部位形成疙瘩或结痂。此时,建议使用热毛巾对患处进行热敷,以促进血液循环和药物吸收。一般情况下,经过一周左右的热敷处理,症状会有所缓解。
〖叁〗、处理方法:可使用伍德氏灯或采样显微镜检查以确认真菌感染。一旦确诊,需口服含有伊曲康唑成分的药物进行治疗。综上所述,猫咪脖子上的疙瘩和结痂可能是由外伤或真菌感染引起。建议及时带猫咪到兽医处进行检查和确诊,以便采取适当的治疗措施。
〖肆〗、猫脖子有疙瘩结痂一样,可以先考虑使用体外驱虫药和杀菌消炎药物。以下是具体的处理方法和建议:检查寄生虫:首先,需要仔细检查猫咪身上是否有寄生虫,特别是跳蚤、蜱虫等。这些寄生虫可能会引起皮肤炎症,导致疙瘩和结痂。使用体外驱虫药:如果发现寄生虫,应立即使用适合猫咪的体外驱虫药。

猫脖子有疙瘩结痂一样用什么药
〖壹〗、猫脖子有疙瘩结痂一样,可以先考虑使用体外驱虫药和杀菌消炎药物。以下是具体的处理方法和建议:检查寄生虫:首先,需要仔细检查猫咪身上是否有寄生虫,特别是跳蚤、蜱虫等。这些寄生虫可能会引起皮肤炎症,导致疙瘩和结痂。使用体外驱虫药:如果发现寄生虫,应立即使用适合猫咪的体外驱虫药。这些药物可以有效杀死或驱除寄生虫,减轻猫咪的皮肤不适。
〖贰〗、处理方法:可使用伍德氏灯或采样显微镜检查以确认真菌感染。一旦确诊,需口服含有伊曲康唑成分的药物进行治疗。综上所述,猫咪脖子上的疙瘩和结痂可能是由外伤或真菌感染引起。建议及时带猫咪到兽医处进行检查和确诊,以便采取适当的治疗措施。
〖叁〗、用药建议:可以先外用外伤消炎的药,如红霉素软膏或百多邦软膏,观察是否有效果。若无效,疙瘩未变小,则需到医院进行穿刺诊断。皮肤病:如果脖子后面出现结痂一样的病灶,并伴有局部脱毛、皮屑和皮肤红肿,可能是皮肤病。用药建议:真菌感染:使用抗真菌外用药,如酮康唑乳膏,并可配合口服抗真菌药。
〖肆〗、寄生虫感染:某些寄生虫如跳蚤、螨虫等也可能导致猫咪皮肤出现异常肿块。这些肿块可能伴有瘙痒,导致猫咪频繁抓挠。治疗这类问题通常需要使用驱虫药物,例如吡喹酮片进行体内驱虫。同时,保持猫咪生活环境的清洁也很重要。接触性皮炎:这是一种由过敏原引起的皮肤炎症反应,可能表现为红斑、水肿和疙瘩。
〖伍〗、皮肤瘙痒引起的结痂:如果猫咪是因为皮肤瘙痒而挠破脖子引起的结痂,需要处理好猫咪的外伤。可以在猫咪的伤口上涂抹抑菌消炎的喷剂,并戴上伊丽莎白圈以防止猫咪再次挠伤。细菌性皮肤病:如果猫咪还伴有细菌性皮肤病的症状,如红肿、发炎等,需要在兽医的指导下使用口服消炎药配合治疗。
〖陆〗、猫脖子有疙瘩结痂一样可能是寄生虫感染、真菌感染、或者是细菌感染引起的皮肤病,首先要检查猫咪身上是否有寄生虫,如果有寄生虫,需要使用体外驱虫药,然后在患处涂抹杀菌消炎药物,同时还需要让猫咪多晒晒太阳。提示:平时要注意环境卫生,定期打扫消毒;还需要按时帮猫咪做体外驱虫,保持猫咪干净卫生。

猫咪打针后脖子上有疙瘩结痂
〖壹〗、猫咪打针后脖子上有疙瘩结痂,可能是由于药物吸收不良或注射部位错误所导致。药物吸收不良:这是较为常见的原因之一。当药物注射后,猫咪的身体未能完全吸收,可能会在注射部位形成疙瘩或结痂。此时,建议使用热毛巾对患处进行热敷,以促进血液循环和药物吸收。一般情况下,经过一周左右的热敷处理,症状会有所缓解。
〖贰〗、这种情况常见于药物吸收不良或注射部位错误导致。如果是由于药物吸收不良引起的,建议使用热毛巾对患处进行热敷,一般一周左右就会恢复。但如果是注射错部位导致,可能导致该处组织坏死或结节,建议及时去医院检查。另外脖子处注射药物后,有的猫咪甚至会出现掉毛后不长毛的情况,这是由于毛囊损坏导致。
〖叁〗、猫咪打针后脖子上有疙瘩结痂 这种情况常见于药物吸收不良或注射部位错误导致。如果是由于药物吸收不良引起的,建议使用热毛巾对患处进行热敷,一般一周左右就会恢复。但如果是注射错部位导致,可能导致该处组织坏死或结节,建议及时去医院检查。
〖肆〗、猫咪脖子上的疙瘩结痂可能是皮肤病或打针后留下的痕迹。皮肤病:如果猫咪身上其他地方也有类似的结痂,那么很可能是皮肤病引起的。皮肤病在猫咪中较为常见,可能由多种原因造成,如真菌感染、细菌感染或寄生虫感染等。为了准确诊断和治疗,建议主人将猫咪带往宠物医院进行专业的检查。
〖伍〗、猫咪的脖子出现疙瘩结痂,主人可以再翻看一下猫咪身上的其他地方是否也有类似的结痂。如果有,主人就需要注意了,这有可能是猫咪患上了皮肤病而引起的。具体的情况以及确诊需要主人把猫咪带往宠物医院进行专业的检查,如果猫咪身上其他地方没有,那这个结痂可能是猫咪在打针后挠后留下的。
〖陆〗、打针所致:原因:可能是注射的药物没有吸收完全或吸收过慢。处理:一般出现在针剂注射后24小时内,可以使用热毛巾进行热敷。如果超过2天肿块未消,建议带猫咪去医院寻求医生帮助。外伤所致:原因:可能是猫咪脖子处受到外伤,导致皮肤组织感染而形成的积液。

猫脖子上有像结痂一样的疙瘩,是怎么回事?
猫咪打针后脖子上有疙瘩结痂,可能是由于药物吸收不良或注射部位错误所导致。药物吸收不良:这是较为常见的原因之一。当药物注射后,猫咪的身体未能完全吸收,可能会在注射部位形成疙瘩或结痂。此时,建议使用热毛巾对患处进行热敷,以促进血液循环和药物吸收。一般情况下,经过一周左右的热敷处理,症状会有所缓解。
猫脖子有疙瘩结痂一样,可以先考虑使用体外驱虫药和杀菌消炎药物。以下是具体的处理方法和建议:检查寄生虫:首先,需要仔细检查猫咪身上是否有寄生虫,特别是跳蚤、蜱虫等。这些寄生虫可能会引起皮肤炎症,导致疙瘩和结痂。使用体外驱虫药:如果发现寄生虫,应立即使用适合猫咪的体外驱虫药。
猫脖子上出现结痂一样的疙瘩可能由多种原因引起,以下是几种常见的情况及其相应的处理方式:猫癣感染:这是一种由真菌引起的皮肤感染,常见症状包括红斑、鳞屑和瘙痒。感染区域的皮肤可能会因为猫咪频繁抓挠而增厚,形成疙瘩。
猫猫脖子上出现疙瘩结痂一样的物体,用药建议如下:纤维瘤或脂肪瘤:如果疙瘩在皮下且活动性较大,可能是纤维瘤或脂肪瘤。用药建议:这种情况一般需要到医院诊断,并考虑是否进行手术切除,药物通常无法根治。皮下脓肿:如果疙瘩非常硬,或由硬变软,可能是皮下脓肿。
OK,关于猫咪脖子上有疙瘩结痂和猫咪脖子上有疙瘩结痂掉毛的内容到此结束了,希望对大家有所帮助。

标签: 皮肤病
还木有评论哦,快来抢沙发吧~